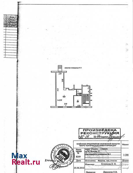
Помещение свободного назначения, 59.7 м²
Калужская область, Калуга, Октябрьский район, улица Маршала Жукова, 11
| 3 700 000 | рублей / за всё |
Пожалуйста, скажите, что нашли это объявление на МаксРиэлт
1 / 2
Описание
Продаю помещение свободного назначения пл.59,7м2.,с отдельным входом, по адресу: г. Калуга ул. Маршала Жукова 11
Параметры объекта
Площадь: 59.7 м2
Расположение на карте
Отзывы
Пока еще никто не оставил отзывОставить отзыв
Хотите сотрудничать и получать заявки? Свяжитесь с нами.
Другие объекты
Жалоба на объявление
Отправить
Принято.
+ Добавить пост









