Земля поселений(ИЖС), 10 сот.
Новгородская область, Старая Русса, городское поселение город Старая Русса

460 000 | рублей |
Пожалуйста, скажите, что нашли это объявление на МаксРиэлт

1 / 2
Описание
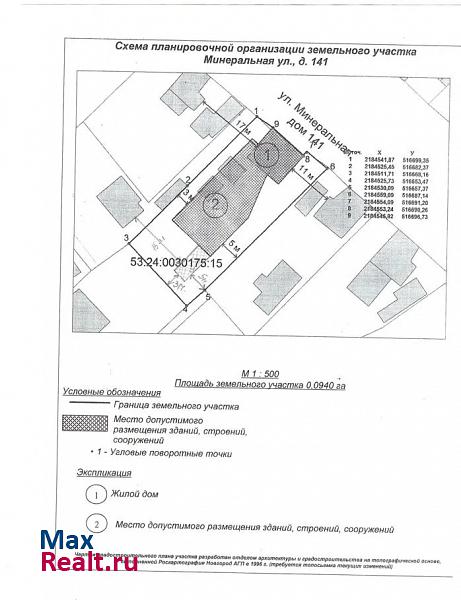
Компания "Новострой" предлагает к реализации земельный участок с возможностью строительства. Зона застройки свободна от строений, высокий, сухой, по главной дороге в городе. До курорта "Старая Русса" 5 мин., магазины 7 мин., хороший подъезд. Пакет документов, разрешающий строительство готов. Продажа от собственника.
Параметры объекта
Площадь участка: 10 сот.
Удалённость от города: В черте города
Расположение на карте
Отзывы
Пока еще никто не оставил отзывОставить отзыв
Хотите сотрудничать и получать заявки? Свяжитесь с нами.
Другие объекты
Жалоба на объявление
Отправить
Принято.
+ Добавить пост