Земля поселений(ИЖС), 10 сот.
Ростовская область, Зерноград, Степная улица
| 400 000 | рублей |
Пожалуйста, скажите, что нашли это объявление на МаксРиэлт
1 / 5
Описание
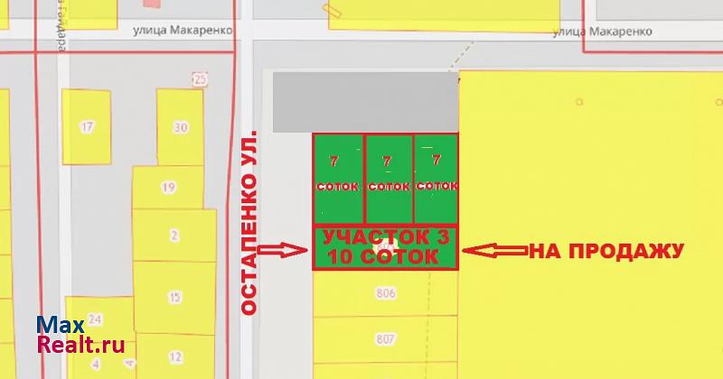
Продам земельный участок .Кадастровый номер :61:12:0600801:805
Россия, Ростовская область, р-н Зерноградский, Зерноградское городское поселение, в 0,036 км от восточной окраины г. Зернограда, участок № 3 .
Подключение электричества 15 кВт с установкой Счетчика .
Линия воды -завод на участок с установкой Счетчика по желанию , газификация с вводом в дом по желанию собственника , канализация-септик . На Топосъемке отражена Линия коммунальных сетей .Разрешение на строительство брать теперь не нужно , достаточно уведомить Администрацию о начале строительства жилого дома .Участок в собственности , что позволит строить дом неспеша и в своё удовольствие , городская прописка . Площадь земельного участка 1019 м/2 .Фасад 18 м.Участок ровный ,без насаждений .Рассрочка 1-3 месяца .Торг.
Россия, Ростовская область, р-н Зерноградский, Зерноградское городское поселение, в 0,036 км от восточной окраины г. Зернограда, участок № 3 .
Подключение электричества 15 кВт с установкой Счетчика .
Линия воды -завод на участок с установкой Счетчика по желанию , газификация с вводом в дом по желанию собственника , канализация-септик . На Топосъемке отражена Линия коммунальных сетей .Разрешение на строительство брать теперь не нужно , достаточно уведомить Администрацию о начале строительства жилого дома .Участок в собственности , что позволит строить дом неспеша и в своё удовольствие , городская прописка . Площадь земельного участка 1019 м/2 .Фасад 18 м.Участок ровный ,без насаждений .Рассрочка 1-3 месяца .Торг.
Параметры объекта
Площадь участка: 10 сот.
Удалённость от города: В черте города
Расположение на карте
Отзывы
Пока еще никто не оставил отзывОставить отзыв
Хотите сотрудничать и получать заявки? Свяжитесь с нами.
Другие объекты
Жалоба на объявление
Отправить
Принято.
+ Добавить пост









